Blogs
- Redaktion 232
- Politik & Gesellschaft 706
- Sie schreiben uns 44
- Schrei aus dem Herzen 664
- Stimmen 522
- Kaffeekränzchen 354
- Hinter den Kulissen 116
- Psychologie & Partnerschaft 149
- Tipps & Ratschläge 100
- Gesundheit 180
- Integration und Kultur 70
- Studium in Deutschland 18
- Behandlung in Deutschland 74
- Sport, Hobbys, Entertainment 665
- Kulinarie 56
- Humor 234
- Wunder ist nah 75
- Fotos & Videos 37
- Mein Stadt 88
- Tourismus und Reisen 84
- Angeln in Deutschland 23
- Buchhaltung 3
- Altersvorsorge 16
- Sozialleistungen 14
- Geschichte 108
- Memories - Lesebriefe 9
Redaktion >> Жуки фюрера могут стать жертвой любви
Text vom Blog
Жуки фюрера могут стать жертвой любви
Что за нелепый набор слов? – спросите вы. Объясняю по порядку.
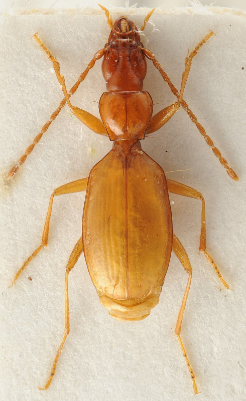
В 1933-м году ранее неизвестный науке вид слепых жуков-жужелиц был обнаружен в пещерах на побережье реки Савиня в Словении, входившей тогда в королевство Югославия.
Жукам не повезло с их первооткрывателем, энтомологом-любителем Оскаром Шайбелем. Он был фанатиком Адольфа Гитлера, а год, напомню, был 1933-й. Вот и назвал Шайбель редкого жука Anophthalmus hitleri (безглазый Гитлера). Информация о высокой чести стать тезкой слепых жужелиц дошла до главы Третьего рейха, и он отправил энтомологу благодарственное письмо. Сами жуки к присвоению почетного звания отнеслись безразлично.
На время о «безглазых Гитлера» забыли, но потом последовал бум - неонацисты стали массово собирать их для коллекций, и за ценой они не стоят – на международном рынке (!) стоимость этого насекомого доходит до 2100 долларов. Даже смерть не спасает жужелиц от преследований: из Баварской государственной коллекции поклонники фюрера сперли почти все экземпляры жуков. Если так пойдет и дальше, Anophthalmus hitleri ждет участь мамонтов и динозавров.
Кстати, ученые-зоологи неоднократно поднимали вопрос о переименовании жука, но другие ученые опасаются открывать этот ящик Пандоры – к сотням тысяч принятых научных названий при желании можно придраться, и тогда нужно будет переписывать тонны документов.
Фото: Von Michael Munich - Eigenes Werk, CC BY-SA 3.0, https://commons.wikimedia.org/w/index.php?curid=13245104
Schlüsselwörter
Tragen Sie 3-5 Schlüsselwörter und trennen Sie diese durch Kommas.
Kurzbeschreibung (Description)
Geben Sie einen Text mit bis zu 167 Zeichen ein.
Hat mir gefallen?
Bewertet: 6)Teilen:
(Um ein Foto zu löschen, klicken Sie auf das jeweilige Foto drauf)

Anophthalmus_hitleri_HabitusDors.jpg
Datei entfernen?
Надежда умирает последней
Autor: Александр Лось
Наследник подпоручика Киже в бундестаге
Autor: Вас. Лоханкин
Халяльное мясо и органический логотип в ЕС
Autor: Jürgen Frank
Бытовые электроприборы в ЕС — больше эффективности и долговечности
Autor: Jürgen Frank
Сильный семейный закон (Starke-Familien-Gesetz)
Autor: Jürgen Frank
Трудовая эмиграция в Германию 2019
Autor: Jürgen Frank
Минимальная заработная плата в Германии 2019
Autor: Jürgen Frank
Пассажиры, внимание! Deutsche Bahn повышает цены на билеты
Autor: К.Комарыч
Взнос за теле- и радио- вещание в Германии — чуда не произошло
Autor: Jürgen Frank
Законодательные изменения Германии с октября 2018 года
Autor: Jürgen Frank


























































Die Administration der Seite partner-inform.de übernimmt keine Verantwortung für die verwendete Video- und Bildmateriale im Bereich Blogs, soweit diese Blogs von privaten Nutzern erstellt und publiziert werden.
Die Nutzerinnen und Nutzer sind für die von ihnen publizierten Beiträge selbst verantwortlich
Es können nur registrierte Benutzer des Portals einen Kommentar hinterlassen.
Zur Anmeldung >>